隧道穿越川杨河 张江将建一城市次干路项目正在公示中

浦东发布
关注原标题:隧道穿越川杨河!张江将新建一条城市次干路,项目正在公示中→
好消息来啦
忙碌的张江向来车水马龙
现在张江即将新建一段隧道和地面道路
卓闻路隧道与卓闻路地面道路
道路等级为城市次干路
项目规划设计方案正在公示中
更多详情一起来看↓
新建工程详情
■ 建设单位:
上海东翌置业有限公司
■ 建设工程名称:
张江中区单元卓闻路(张衡路以南-华夏中路)新建工程
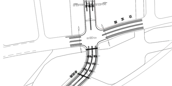
项目公示图
请将手机旋转90度,了解项目公示图
■ 地理位置:
卓闻路隧道位于张江中区单元核心区,卓闻路是张江中区单元地块内一条南北向次干路。张江中区单元位于张江科学城内中部偏北,东侧、南侧紧邻中环,川杨河从范围中部东西向穿过。
■ 建设范围:
卓闻路隧道北侧在张衡路前敞开接地,南侧过中科路后敞开接地,下穿川杨河。卓闻路地面道路北起海科路,南至华夏中路,工程范围内设有一座桥梁,上跨景观水系小张家浜。另包含4处沿线与已建横向道路的相交处交叉口改造及管线衔接。
卓闻路隧道与卓闻路地面道路
设计速度:40km/h
道路等级:城市次干路
建设规模
卓闻路隧道全长约837.5米
卓闻路地面道路全长约830米
道路以中科路为界,中科路以北道路红线宽度为24米,断面布置为双向2车道。中科路以南道路红线宽度为36米,断面布置为双向4车道。
横断面布置
卓闻路隧道断面为0.25m(路缘带)+3.0m*2(车行道)+0.25m(路缘带)=6.5m。
敞开段
中科路~环科路标准段横断面为2.25m(人行道)+5.5m(车行道)+16.5m(敞开段)+5.5m(车行道)+2.25m(人行道)=32.0m。
暗埋段
海科路~中科路标准段横断面为3.0m(人行道)+6.5m(机非共板)+5.0m(中央分隔带)+6.5m(机非共板)+3.0m(人行道)=24.0m。
路基段
环科路~华夏中路标准段横断面为3.0m(人行道)+2.5m(非机动车道)+2.0m(机非分隔带)+7.5m(机动车道)+2.0m(中央分隔带)+7.5m(机动车道)+2.0m(机非分隔带)+2.5m(非机动车道)+3.0m(人行道)=32.0m。
工程内容
道路工程、排水工程及相配套的道路照明、绿化景观、连通道及交通设施等附属工程。
公示详情
公示期限:2020年12月3日至12月15日
反馈意见截止日期:2020年12月20日(信件以寄出邮戳为准)
采取网上和现场同步公示的方式
现场公示地址:项目建设地块围墙
公示网址:http://www.pudong.gov.cn/shpd/
公示采取书面信函(含电子邮件)方式听取公众意见
反馈意见的邮寄地址:浦东新区张东路1158号3号楼,邮编:201203,电子邮件地址:zjgh@pudong.gov.cn,并请在信(函)封面上注明“项目方案公示意见”。也可到项目所在地相关镇、街道反映。
来源:浦东发布

